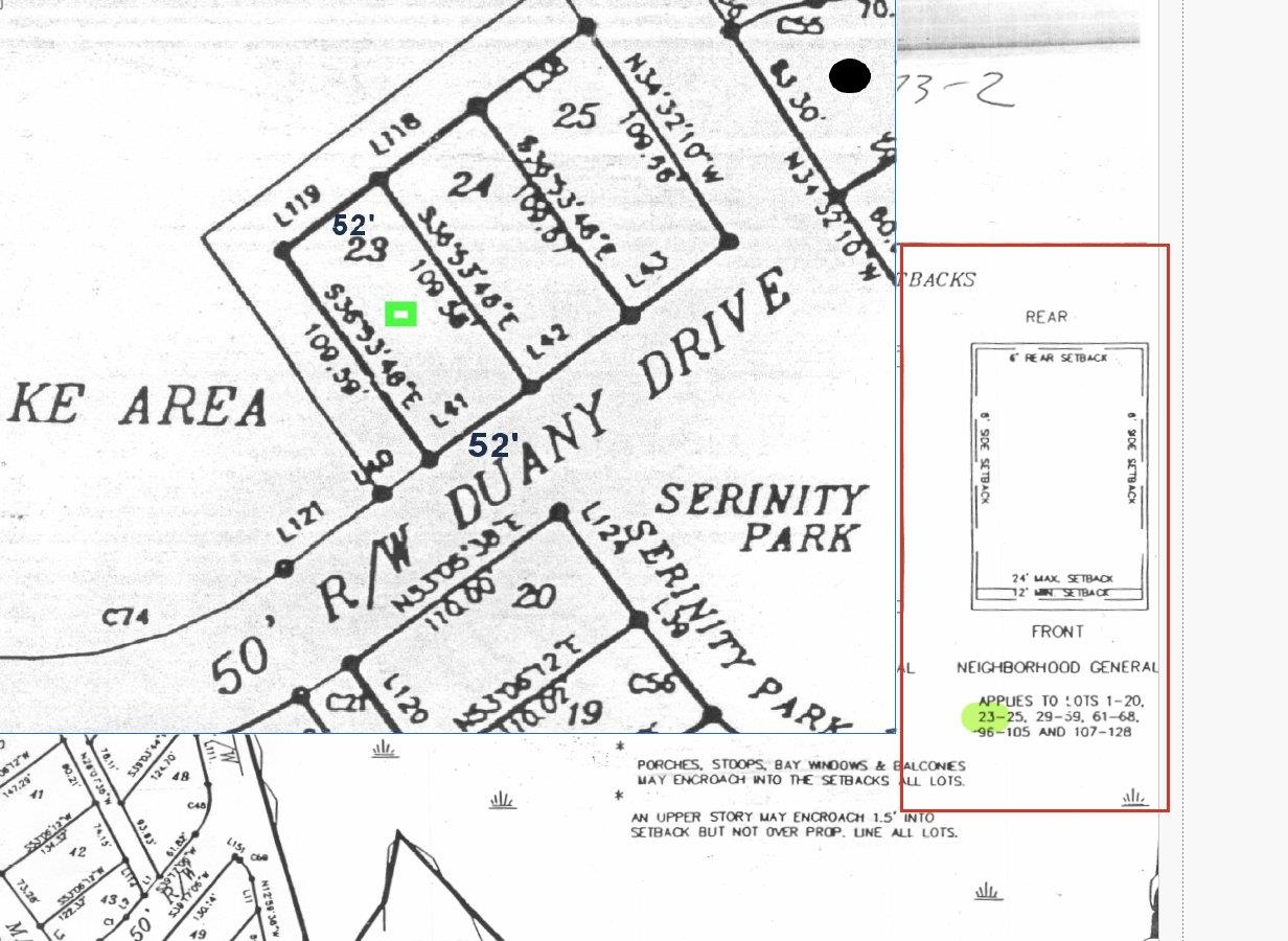
Land

112 Duany Dr., Georgetown

$74,900

Bedroom bedrooms

  • MLS #: 2603028
  • Address: 112 Duany Dr., Georgetown, SC 29440
  • Date Listed: 2/3/2026
  • Days on Market: 86
  • Acres: 0.13
  • Restrictions: Covenants/Restrictions Disclosure
  • Subdivision: Harmony

Location Location

Agent Comments Agent Comments
!REDUCED! Welcome to Harmony Township and Riverfront amenities including a private boat launch and community dock for Harmony Township owners. This lot has a nice common area buffer behind it. Close proximity to the community boat ramp and simply an overall nice location within Harmony Township. Sale includes a 30 foot Boat Slip #11 in Friendfield Marina. Inside section of marina, freshwater available, close to the entrance. Nice Hurricane Hole for your boat. Motor to the Atlantic Ocean or cruise the surrounding rivers. ICW is just around the bend. Harmony Township is situated on the Sampit River, Historic Ricefields and Friendfield Marina. Harmony Township offers miles of sidewalks and nature trails, incredible views of the Sampit River and Turkey Creek. Historic Georgetown is minutes away by boat or car. Charleston- 40 minutes & Myrtle Beach- 1 hour away. Pawleys Island Beaches, Murrells Inlet fine dining, & shopping are convenient. No time frame to build and choose your own builder. Directions- Hwy 17 South out of Georgetown, turn right onto Pennyroyal Road, turn right into Harmony Township. Buyer is responsible for verifying allowable use, HOA dues, measurements, restrictions. No time frame to build, Minimum 1,800 sq ft of living space for homes.

Additional Features Additional Features
  • County: Georgetown
  • Tax Number: 01-0122A-023-00-00