Search
Prev
Next
Land

TBD Heritage Rd., Loris

$599,900

Bedroom bedrooms

  • MLS #: 2528463
  • Address: TBD Heritage Rd., Loris, SC 29569
  • Date Listed: 12/1/2025
  • Days on Market: 104
  • Acres: 26.89
  • Subdivision: Not within a Subdivision

Location Location

Agent Comments Agent Comments
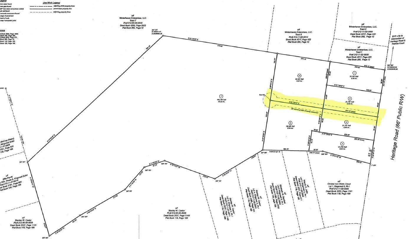
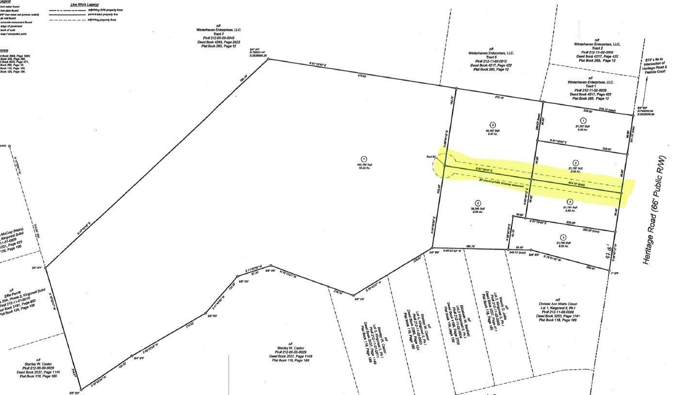
OFFERED FOR SALE: This Assemblage consists of Twelve Individual Lots with a Total of approximately 26.89 Acres ready for Development. This Assemblage is located on Heritage Road in Loris, SC. The minimum size lot is .50 Acres with Seven lots that have direct road frontage. Perfect for a Local Builder, or someone who would want a Large Country Estate. This Assemblage is located 3.10 Miles to Highway 9, and 3.4 Miles to the Heart of Downtown Loris. Easements are in place for access to the back lots, as well as for underground utilities. Grand Strand Water and Sewer Would provide service that does not require a Lift Station.

Additional Features Additional Features
  • County: Horry
  • Tax Number: 2147483647