Land

5530 Joyner Swamp Rd., Galivants Ferry

$69,900

Bedroom bedrooms

  • MLS #: 2510885
  • Address: 5530 Joyner Swamp Rd., Galivants Ferry, SC 29544
  • Date Listed: 5/1/2025
  • Days on Market: 364
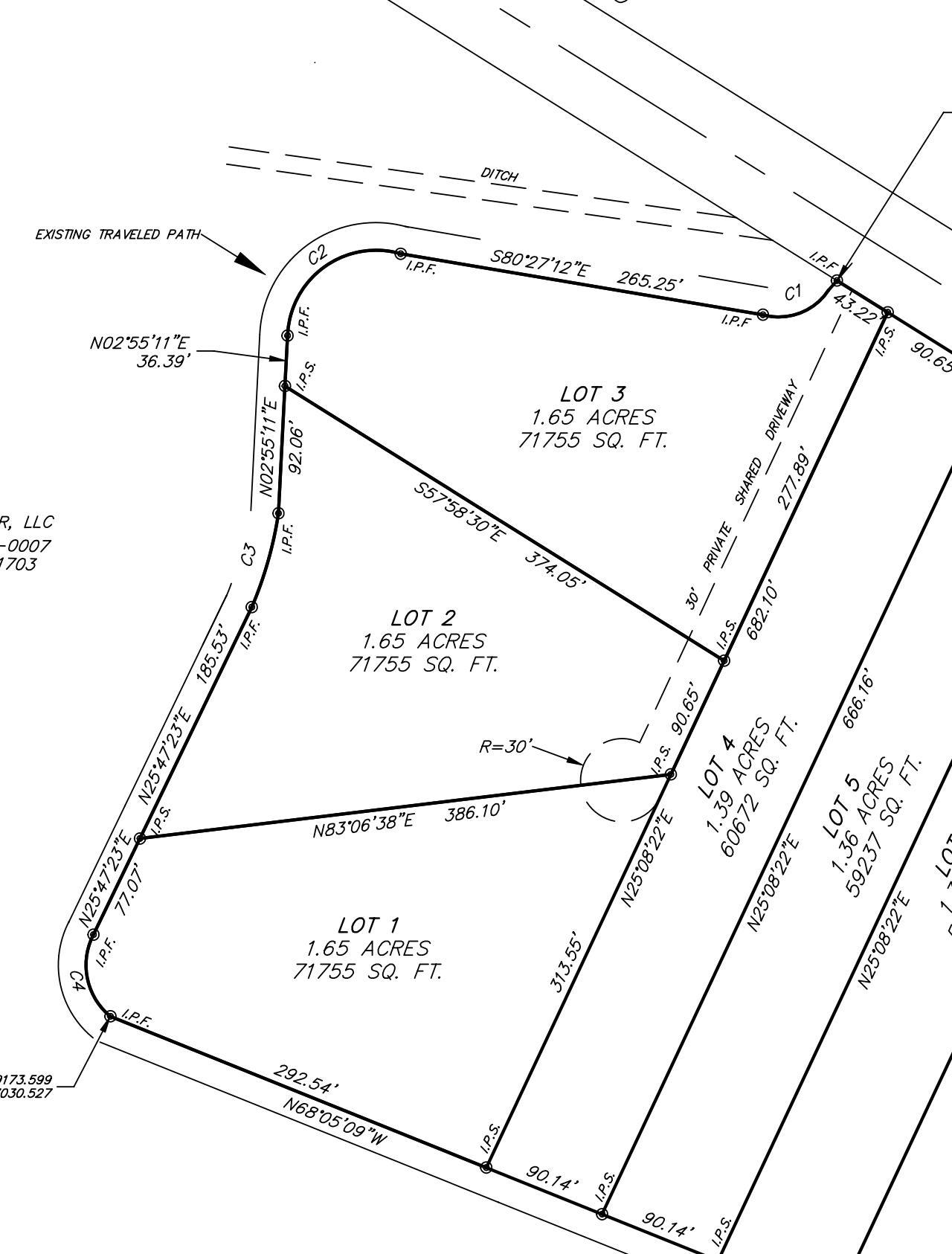
  • Acres: 1.65
  • Subdivision: Not within a Subdivision

Location Location

Agent Comments Agent Comments
PICK YOUR LOT! 10 CLEARED Lots available. Proposed split as seen in photos. Choose your lot and build as you please! NO HOA. County water will be available, septics will be required. Partially cleared lots. Zoned for manufactured, modular, or stick built homes! Plenty of space for RVs, Boats, ATVs, Garages and Workshops! Nice and quiet area to enjoy the beautiful country atmosphere in peace. Larger lots are also available starting from 2 acres. Don't miss out on the endless possibilities this exceptional property presents. Owner will consider owner financing.

Additional Features Additional Features
  • County: Horry
  • Tax Number: 2147483647
  • Water/Sewer: Cable Available, Electricity Available, Water Available