Search
Prev
Next
Land

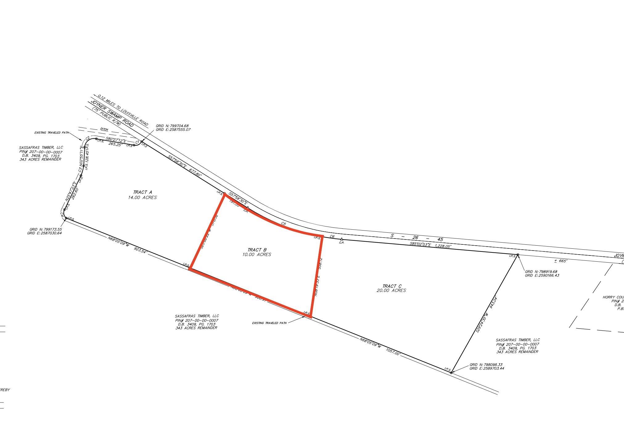
TBD Joyner Swamp Rd., Galivants Ferry

$400,000

Bedroom bedrooms

  • MLS #: 2507203
  • Address: TBD Joyner Swamp Rd., Galivants Ferry, SC 29544
  • Date Listed: 3/23/2025
  • Days on Market: 403
  • Acres: 10
  • Subdivision: Not within a Subdivision

Location Location

Agent Comments Agent Comments
900' Road Frontage in the Aynor School District! County water will be available, septics will be required. Lot can be timbered. Zoned for manufactured, modular, or stick built homes! Plenty of space for RVs, Boats, ATVs, Garages and Workshops! Nice and quiet area to enjoy the beautiful country atmosphere in peace. Excellent location for a horse farm or private estate! Don't miss out on the endless possibilities this exceptional property presents. Owner will consider owner financing.

Additional Features Additional Features
  • County: Horry
  • Tax Number: 2147483647
  • Water/Sewer: Cable Available, Electricity Available, Water Available